Hallaron a los argentinos que estaban perdidos en Filipinas
Los tres compatriotas se contactaron con sus respectivas familias tras el paso del tifón Haiyan, que dejó un saldo de 10 mil muertos.
Gustavo Aguilera en Radio 10
Los tres argentinos que se encontraban desaparecidos luego de que el tifón Haiyan arrasara con la ciudad filipina de Tocloban se contactaron con sus respectivas familias para informarles que se encuentran bien.
"Los ciudadanos argentinos que estaban en la zona del tifón están todos sanos y salvos, ya tomamos contacto", confirmó el cónsul argentino en Filipinas, Hernando Díaz Literas, en declaraciones radiales.
Antes, el sacerdote Gustavo Aguilera, que vive en la ciudad de Cebú, había advertido sobre la ausencia de estas personas. "Se está buscando a tres argentinos que no fueron reportados. Somos 100 en total y la mayoría somos religiosos pero hay otros que trabajan en empresas multinacionales", expresó.
En diálogo con "Hola Chiche", por Radio 10, Aguilera se comunicó este viernes por la mañana con personal diplomático que le informó sobre las personas que aún resta encontrar.
"Se supone que estaban en la zona de la catástrofe porque no hay contacto telefónico", agregó.
El religioso, que reside en la ciudad de Cebú, la segunda más poblada del país, precisó que "no hay comunicaciones, no hay líneas telefónicas, el aeropuerto, las rutas y los puentes fueron partidos en dos, no hay agua ni electricidad".
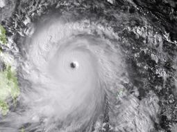
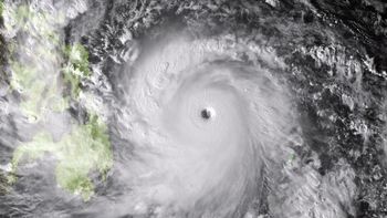
Los muertos provocados por el paso del tifón Haiyan por la región central de Filipinas podrían alcanzar los 10.000, según declaró un portavoz de la policía filipina. La mayoría sería por causas de ahogamiento y derrumbe de edificios.
Haiyan, bautizado por las autoridades filipinas como Yolanda, habría arrasado entre el 70 y el 80 por ciento de la ciudad de Tacloban, en la costa este del país, por donde pasó el tifón el pasado viernes, remarcó el funcionario.
Después de que la localidad pasara varias horas incomunicada, el sábado comenzaron a llegar imágenes de la destrucción de Tacloban: viviendas completamente destruidas, carreteras intransitables por el gran número de postes de luz y todo tipo de objetos arrastrados, y árboles totalmente desnudos.
El Consejo para la Gestión y Reducción de Desastres del país señaló que unos 4 millones de personas de 36 provincias de Filipinas fueron afectadas por Haiyan, calificado por agencias meteorológicas como "súper tifón", ya que sus vientos superaron los 240 kilómetros por hora.
Temas
Las Más Leídas





Dejá tu comentario