VIDEO: La espeluznante cara que se ve en el epicentro del huracán Irma
Un satélite captó imágenes del fenómeno en las que se ve una figura que da miedo. Mirá las increíbles imágenes.
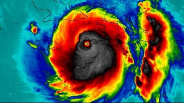
La NASA compartió imágenes captadas por satélites que muestran la ferocidad del fenómeno, la formación en el ojo del huracán "Irma", que muchos asemejan a una cara terrorífica.
Los usuarios de las redes sociales no tardaron en señalar que en algunas fotografías y videos aparece una 'cara' dentro de la potente tormenta. Ésta fue vista en las imágenes tomadas por el Centro de investigación de predicciones a corto plazo y transición (SPoRT, por sus siglas en inglés) de la NASA y transmitidas por la CNN.
El meteorólogo Stu Ostro, compartió otra imagen satelital de Irma que también tiene similitud con un rostro. El año pasado, Ostro observó un fenómeno parecido en el huracán Matthew.
Las Más Leídas








Dejá tu comentario