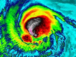
¿Dónde está ahora el huracán Irma?
Hay diversas formas de seguir al huracán Irma que está arrasando con lo que encuentra en su paso por el Caribe y rumbo a la península de Florida en Estados Unidos. Evacuaron Miami Beach.
El sitio Windy provee información actualizada de los fenómenos meteorológicos del mundo con mapas satelitales interactivos.
Por su parte, la cadena Telemundo pubica en streaming la trayectoria de Irma con información de The Weather Channel.
Irma, el más poderoso ciclón del Atlántico categoría 5, dejó en el Caribe al menos seis muertos y una cantidad no precisada de heridos, evacuados y damnificados, ciudades inundadas y viviendas destruidas, mientras sigue su ruta en dirección a Cuba y a la Florida, Estados Unidos.
Un balance realizado en la isla de San Martín, en las Antillas Menores, indicó que ascienden a seis las víctimas fatales por el fenómeno, según informó Télam con datos de EFE.
De acuerdo al Centro Nacional de Huracanes (CNH) de Miami, "Irma" mantuvo su fuerza al atravesar las Antillas Menores en el Caribe, y los meteorólogos advirtieron que continúa rumbo a Islas Vírgenes, Puerto Rico, República Dominicana, Haití, Cuba y la península estadounidense de Florida.
Las Más Leídas






Dejá tu comentario