El huracán Irma ya dejó 12 muertos, arrasó con el Caribe y se acerca a Miami
El fenómeno es uno de los más poderosos y devastadores de los últimos años. Desde hace más de dos días mantiene la categoría 5 y el fin de semana entraría al continente por Florida.
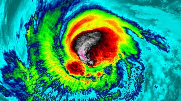
Irma, el más poderoso huracán del Atlántico categoría 5, causó la muerte de al menos doce personas durante su paso por el Caribe. Además, dejó una cantidad no precisada de heridos, evacuados y ciudades inundadas, mientras sigue su ruta en dirección a Cuba y a la Florida, Estados Unidos.
De acuerdo al Centro Nacional de Huracanes (CNH) de Miami, Irma mantuvo su fuerza al atravesar las Antillas Menores en el Caribe, y este jueves dejó atrás Puerto Rico y amenaza ahora a la República Dominicana con vientos de hasta 290 kilómetros por hora con lo que se mantiene en categoría 5, la máxima, y continúa rumbo a República Dominicana, Haití, Cuba y la península estadounidense de Florida.
"Esto es un desastre nacional", declaró el primer ministro de Antigua y Barbuda, Gaston Browne, al señalar que el fenómeno destruyó el 90 por ciento de la infraestructura en Barbuda, una de las primeras islas afectadas el miércoles con vientos de 295 kilómetros por hora.
En Puerto Rico, las autoridades reportaron más de 500.000 usuarios sin electricidad y cerca de 30.000 sin agua, a causa de los vientos que provocaron además la caída de árboles y del tendido eléctrico, aún antes de que Irma tocara tierra, y alrededor de 2.000 personas fueron refugiadas en albergues establecidos por el Gobierno.
Mientras tanto, en La Habana, el Gobierno cubano decretó el estado de alerta para las ocho provincias orientales de la isla, y las autoridades iniciaron la evacuación de más de 36.000 turistas extranjeros que actualmente están de vacaciones en polos de ocio situados en la costa norte oriental y central, donde recae la mayor amenaza del peligroso huracán, que se comenzará a sentir en la isla el viernes.
Por su parte, el gobernador de Florida, Estados Unidos, Rick Scott, declaró que Irma podría ser el más potente y destructivo que azotó alguna vez la zona.
Scott decretó hace días el estado de emergencia en Florida y ya fueron evacuados los cayos del sur, a los que sólo se puede llegar por un sistema de puentes y que estarían especialmente expuestos.
Temas
Las Más Leídas







Dejá tu comentario