VIDEO: Mirá el ojo de Irma, el huracán más grande de la historia
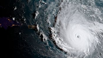
Se trata de una filmación realizada por el satélite meteorológico GOES-16 que capturó el ojo del huracán Irma, que es oficialmente la tormenta más grande y poderosa que se registró sobre el Océano Atlántico.
Mirá el ojo del huracán Irma
Temas
Las Más Leídas






Dejá tu comentario