Las cinco razones por las que comparan al huracán Irma con una bomba atómica
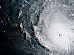
Irma tiene la mayor energía ciclónica acumulada que genera un huracán en el mes de agosto desde 2004: 7 billones de Watts. La cifra equivale a la suma de la que produjeron 14 ciclones y tormentas tropicales en todo el 2013 en el Atlántico.
Así quedaron algunos autos tras el paso del Irma por el Caribe
Los estadounidenses Herbert Saffir y Robert Simpson crearon en 1969 la escala que lleva sus apellidos para medir la fuerza de los huracanes y que va apenas de 1 a 5. ¿Por qué no más? Por que, según decían, cuando un ciclón llega a tener vientos superiores a los 250 kilómetros por hora, es tanta su potencia destructiva que no haría mucha diferencia si la fuerza fuera mayor.
El huracán Irma arrasó con lo que encontraba en su paso por las islas del Caribe lo que lo constituye por su poder destructivo como uno de los de máxima categoría.
Las cinco razones por las que comparan los daños de Irma con los que causaron las bombas de la Segunda Guerra Mundial.
Temas
Las Más Leídas






Dejá tu comentario