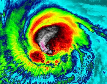
Desastre en el Caribe: así impactó el huracán Irma Puerto Rico, Cuba y Florida, en Estados Unidos, se declararon en emergencia, luego de que este martes el fenómeno climatológico alcanzara la máxima categoria. Lo consideran "extremadamente peligroso". Huracán Irma
El huracán Irma podría causar más daño que Katrina La fuerza de la tormenta que avanza por el Atlántico podría superar el daño del uno de peores huracanes de la historia, que azotó EE.UU. en 2005. Huracán Irma